Siêu bão Koppu tiến vào Phillipines, 10.000 người mất nhà cửa

sao sao sao sao sao
An toàn giao thông 19/10/2015 05:57

Ngày (18/10), siêu bão Koppu đã đổ bộ vào Philippines, gây ra những đợt sóng cao tới 4 mét và phá hủy nhiều nhà cửa.

18-10-hv-1
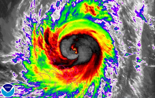
Siêu bão Koppu có sức gió lên tới 240 km/h

Theo ông Alexander Pama, giám đốc điều hành cơ quan Phòng chống, giảm nhẹ thiên tai quốc gia Philippines cho biết: “Cho tới nay, bão Koppu đã đốn đổ nhiều cây cối khiến một số đường lớn bị chặn lại, đồng thời gây ra mất điện tại một số vùng và khiến gần 10.000 người mất nhà cửa. Rất may là chưa có báo cáo về thương vong”.

Với sức gió giật lên đến 240km/h, bão Koppu có sức mạnh tương đương một trận siêu cuồng phong loại 4. Cơn bão cũng đã gây mưa lớn và ngập lụt tại nhiều nơi ở Philippines. Theo báo cáo, một vài con đường và cầu tại nước này đã bị hư hỏng nặng.

Các nhà khí tượng cho biết, bão Koppu sẽ lưu lại trên đảo Luzon, Philippines khoảng 3 ngày do có áp suất cao từ phía bắc cùng với một trận bão khác tại phía Tây Bắc Thái Bình Dương.

Theo đài phát thanh địa phương dzBB của Philippines, lực lượng cứu hộ quốc gia đang gặp khó khăn trong việc cứu trợ một số vùng chịu ảnh hưởng trực tiếp của cơn bão do mưa lớn và sạt lở đất.

Đã có ít nhất 30 chuyến bay và phà tại vùng phía Bắc Phillippines đã được hủy bỏ trong ngày hôm qua. Tại một vài nơi thuộc vùng núi, hệ thống xe buýt cũng đã ngưng hoạt động do cảnh báo lở đất.

Vào hôm Thứ Sáu (16/10), tổng thống Philipines, ông Benigno Aquino đã xuất hiện trên kênh truyền hình quốc gia và đưa ra lời động viên rằng người dân phải sẵn sàng chuẩn bị ứng phó với cơn bão cùng chính phủ thay vì hoảng loạn. Lần cuối cùng ông Aquino đưa ra lời động viên trên truyền hình là vào năm 2013, trước khi siêu bão Haiyan tiến vào Philippines, khiến hơn 6.300 người thiệt mạng và hàng triệu người mất nhà cửa.

Được biết, mỗi năm Philippines lại phải hứng chịu trung bình khoảng 20 trận bão lớn nhỏ.

Tag:

Ý kiến của bạn

Bình luận

Vá sửa mặt đường, đảm bảo giao thông tuyến đường Hồ Chí Minh qua Đắk Lắk, Lâm Đồng

Vá sửa mặt đường, đảm bảo giao thông tuyến đường Hồ Chí Minh qua Đắk Lắk, Lâm Đồng

CTCP Đường bộ Đắk Lắk đang triển khai các hạng mục duy tu, sửa chữa trên tuyến đường Hồ Chí Minh (QL14) qua địa bàn tỉnh Đắk Lắk, Lâm Đồng nhằm nâng cao độ êm thuận mặt đường và đảm bảo an toàn giao thông trên tuyến.

An toàn giao thông
Sơn La: Thông xe tạm đoạn sạt lở trên ĐT101, khôi phục bước đầu giao thông khu vực

Sơn La: Thông xe tạm đoạn sạt lở trên ĐT101, khôi phục bước đầu giao thông khu vực

Sau thời gian khẩn trương khắc phục sạt lở, đoạn tuyến Km17+765 đến Km17+780 trên Đường tỉnh 101 (ĐT), (nhánh Vân Hồ – Quang Minh), thuộc địa phận xã Đoàn Kết, tỉnh Sơn La đã được thông xe tạm thời từ 14h ngày 29/4/2026, góp phần nối lại lưu thông trên tuyến đường quan trọng của khu vực.

An toàn giao thông
CSGT Hà Nội dồn lực đảm bảo giao thông trong dịp nghỉ lễ 30/4 - 1/5

CSGT Hà Nội dồn lực đảm bảo giao thông trong dịp nghỉ lễ 30/4 - 1/5

CSGT làm nhiệm vụ trên đường sẵn sàng hỗ trợ người dân gặp khó khăn, đảm bảo giao thông thông suốt khu vực nội thành và cửa ngõ thành phố.

An toàn giao thông
Đồng Nai: Cảnh sát giao thông khuyến cao người dân đi lại dịp cao điểm Lễ 30/4

Đồng Nai: Cảnh sát giao thông khuyến cao người dân đi lại dịp cao điểm Lễ 30/4

Phòng CSGT Công an tỉnh Đồng Nai khuyến cáo, người dân nên chủ động theo dõi tình hình giao thông, lựa chọn lộ trình phù hợp để tránh ùn tắc, đồng thời tuân thủ hướng dẫn của lực lượng điều tiết và hệ thống biển báo trên các tuyến đường.

An toàn giao thông
Chủ động khai thác an toàn các tuyến cao tốc qua miền Trung

Chủ động khai thác an toàn các tuyến cao tốc qua miền Trung

Hàng loạt dự án cao tốc qua miền Trung chuẩn bị đưa vào khai thác đúng dịp cao điểm nghỉ lễ 30/4 - 1/5/2026, Khu Quản lý đường bộ III (Cục Đường bộ Việt Nam) đã yêu cầu các đơn vị liên quan triển khai đồng bộ các giải pháp quản lý, vận hành và bảo trì, nhằm bảo đảm giao thông an toàn, thông suốt ngay từ những ngày đầu thông xe.

An toàn giao thông
Một số chức danh thuộc Cục Hàng hải và Đường thủy Việt Nam được bổ sung thẩm quyền xử phạt vi phạm giao thông thủy

Một số chức danh thuộc Cục Hàng hải và Đường thủy Việt Nam được bổ sung thẩm quyền xử phạt vi phạm giao thông thủy

Từ ngày 15/5/2026, một số chức danh thuộc Cục Hàng hải và Đường thủy Việt Nam như Cục trưởng, Chi cục trưởng… được bổ sung thẩm quyền xử phạt vi phạm hành chính lĩnh vực giao thông đường thủy.

An toàn giao thông