2019 được dự báo là năm nắng nóng lịch sử với nhiều hiểm họa

sao sao sao sao sao
16/05/2019 07:38

Liên tiếp trong nhiều ngày qua, nhiệt độ trung bình trong ngày tại nhiều địa phương trên cả nước đã vượt quá ngưỡng 40 độ C. Và theo dự đoán của các chuyên gia khí hậu thế giới thì 2019 có khả năng trở thành năm nắng nóng nhất trong lịch sử với nhiều hiểm họa thời tiết kèm theo.

1939712
 

 Theo National Geographic thì với ảnh hưởng của hiện tượng El Nino cộng với hệ quả của biến đổi khí hậu do các hoạt động của con người, năm 2019 có thể sẽ trở thành năm nóng nhất trong lịch sử nhân loại.

Tình trạng này cũng được cảnh báo trong báo cáo "tình trạng khí hậu" mới nhất của Carbon Brief – một báo cáo tổng quát về nhiệt độ, nhiệt độ đại dương, mực nước biển, khí nhà kính và băng ở các cực – và theo báo cáo này thì:

- Nhiệt lượng đại dương (OHC) đạt mức kỷ lục mới trong đầu năm 2019. Các nhà khoa học cho biết nhiệt độ của đại dương ấm hơn bất kỳ thời điểm nào so với thời điểm từ năm 1940 trở lại đây.

- Trong năm 2019, mực nước trên các đại dương của thế giới tiếp tục tăng (tăng 8,5cm so với đầu những năm 1990).

- Nồng độ methane trong khí quyển tăng với tốc độ nhanh, đạt mức kỷ lục trong những tháng gần đây (xu hướng này vẫn đang được tranh luận bởi các nhà khoa học).

- Băng ở Bắc cực hiện đang ở mức thấp kỷ lục vào tháng 1 và hiện đang ở mức thấp trong lịch sử.

Dựa trên nhiệt độ trong quý 1, năm 2019 có thể là năm nóng thứ 2 hoặc thứ 3 được ghi nhận cho tất cả các loại nhiệt độ bề mặt, sau năm 2016 và 2017. Tuy nhiên, đây vẫn chưa phải là thời điểm nắng nóng nhất trong năm và năm 2019 vẫn đang có xu hướng phá vỡ kỷ lục nhiệt độ cao của mọi thời đại.

Riêng tại Việt Nam, những ngày cuối tháng 4 vừa qua cũng đã xảy một đợt nắng nóng khó chịu. Nhiệt độ ở Hà Tĩnh - tỉnh nằm ở tâm chấn của đợt nóng - đạt mức nhiệt 43,4 độ C hôm 20/4, và đây là mức cao nhất được ghi nhận kể từ tháng 5 năm 2015.

Hiện tượng ấm lên toàn cầu

1939715
 

 Các nhà khoa học xếp hiện tượng "ấm lên toàn cầu" và "biến đổi khí hậu" là một trong những "thảm họa đe dọa sự tồn vong của nhân loại". Những thảm họa khác được xếp chung với nhóm này bao gồm thiên thạch khổng lồ lao vào Trái Đất, chiến tranh hạt nhân, dịch bệnh quy mô toàn cầu...

Ngoài gây ra cảm giác khó chịu và ảnh hưởng đến sinh hoạt hàng ngày của người dân, hệ quả rõ ràng nhất của ấm lên toàn cầu và biến đổi khí hậu trong năm 2019 có thể gây ra hàng loạt hiểm họa cho con người và thiên nhiên như:

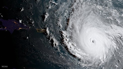
Bão/siêu bão:

Các chuyên gia khí tượng trên thế giới cho rằng hiện tượng nắng nóng và ấm lên toàn cầu sẽ khiến cho các cơn bão và siêu bão ngày càng có diễn biến khó lường hơn. Các hiện tượng tự nhiên này sẽ xuất hiện với tần suất cao và khó đoán hơn trước.

Theo thống kê, năm 2018, Bắc bán cầu hứng chịu 70 cơn bão so với trung bình nhiều năm là 53 cơn và gây hậu quả nặng nề cho nhiều quốc gia, trong đó có Philippines, Việt Nam, Hàn Quốc…

Sóng nhiệt:

1939718
 

 Sóng nhiệt là khoảng thời gian kéo dài của hiện tượng thời tiết nóng bất thường, thường kéo dài từ vài ngày đến hơn một tuần. Sóng nhiệt hình thành khi không khí tĩnh (ít di chuyển) tại một địa phương hay một vùng. Sóng nhiệt có thể gây ra các bệnh như chuột rút, suy kiệt, đột quỵ do nhiệt..., thậm chí tử vong.

Các nhà khoa học cho biết sóng nhiệt gây nên tình trạng khó chịu cho con người, đặc biệt nguy hiểm đối với trẻ sơ sinh và trẻ nhỏ, người già và những người mắc bệnh. Nhiệt độ cao có thể gây ra các bệnh như chuột rút do nhiệt, đột quỵ do nhiệt và thậm chí tử vong. Sóng nhiệt dẫn đến nóng đột ngột, làm cho cơ thể con người bị mất nước và mất muối, là nguyên nhân chủ yếu gây ra các trường hợp tử vong do thời tiết.

Theo thống kê, sóng nhiệt ở Chicago (Mỹ) năm 1995 làm 600 trường hợp tử vong; sóng nhiệt ở châu Âu năm 2003 làm 50.000 người tử vong và con số này có xu hướng tăng qua từng giai đoạn.

Theo Lancet Countdown, năm 2018, 153 tỷ "giờ lao động trên toàn thế giới đã bị xóa sổ" do sóng nhiệt, cao gấp 3 lần con số được thống kê vào năm 2000.

Hạn hán/cháy rừng:

Nhiệt độ quá nóng gây ra hiện tượng hạn hán nghiêm trọng tại nhiều quốc gia ở châu Phi, Nam Mỹ, Đông Nam Á và một phần ở khu vực Thái Bình Dương. Hạn hán còn gây ra cháy rừng trên diện rộng ở nhiều quốc gia trên thế giới.

Mất cân bằng sinh thái:

El Nino gần đây nhất đã kết thúc nào vào năm 2016. Kết quả là hiện tượng thiên nhiên khắc nghiệt này đã xóa sổ gần như cả rạn san hô Great Barrier – rạn san hô lớn nhất trên thế giới.

Không chỉ ảnh hưởng đến môi trường biển, hiện tượng nắng nóng kéo dài trên thế giới còn khiến các hệ sinh thái thực vật (chủ yếu là rừng), động vật… tại nhiều nơi trên thế giới bị ảnh hưởng nghiêm trọng (thiếu nước uống, thiếu thức ăn, chết do khộng chịu được nhiệt độ cao…).

Ý kiến của bạn

Bình luận

Phát triển nguồn nhân lực cho xây dựng, vận hành đường sắt tốc độ cao Bắc - Nam

Phát triển nguồn nhân lực cho xây dựng, vận hành đường sắt tốc độ cao Bắc - Nam

Đường sắt tốc độ cao (ĐSTĐC) Bắc - Nam là dự án trọng điểm quốc gia, có ý nghĩa hết sức quan trọng, góp phần phát triển kinh tế - xã hội, công nghiệp hóa, hiện đại hóa đất nước. Trong đó, việc tiếp nhận chuyển giao công nghệ, phát triển công nghiệp và đào tạo nguồn nhân lực là một trong những yếu tố quan trọng đảm bảo quá trình đầu tư, vận hành, khai thác hiệu quả và từng bước đưa đường sắt tốc độ cao trở thành động lực phát triển của nền kinh tế.

Hội thảo quốc tế Xây dựng đường sắt tốc độ cao ở Việt Nam và Kinh nghiệm từ Trung Quốc

Hội thảo quốc tế Xây dựng đường sắt tốc độ cao ở Việt Nam và Kinh nghiệm từ Trung Quốc

Ngày 9/1 tại Hà Nội, Trường Đại học Giao thông vận tải (GTVT) phối hợp Trường Đại học Giao thông Tây Nam (Trung Quốc) tổ chức Hội thảo quốc tế Xây dựng đường sắt tốc độ cao tại Việt Nam và Kinh nghiệm của Trung Quốc.

Phát triển đường thuỷ nội địa - Giải pháp giảm bền vững chi phí logistics

Phát triển đường thuỷ nội địa - Giải pháp giảm bền vững chi phí logistics

Tại Việt Nam, chi phí logistics trung bình ở mức tương đương 16,8 - 17% GDP và vẫn còn ở mức khá cao so với mức bình quân chung của thế giới (khoảng 10,6%). Với tốc độ tăng lượng hàng hóa nêu trên, nếu cơ sở hạ tầng logistics và tính kết nối giữa các phương thức vận tải không được cải thiện sẽ không thể đáp ứng được nhu cầu vận tải, tình trạng tắc nghẽn các tuyến đường dẫn vào cảng biển chính sẽ ngày càng nghiêm trọng, khi đó chi phí logistics có thể tăng cao hơn so với thời điểm hiện tại, nếu không có giải pháp vận tải lâu dài, bền vững.

Tiêu chuẩn thiết bị an toàn cho trẻ em trên ô tô, kinh nghiệm thế giới và hướng áp dụng ở Việt Nam

Tiêu chuẩn thiết bị an toàn cho trẻ em trên ô tô, kinh nghiệm thế giới và hướng áp dụng ở Việt Nam

Tiêu chuẩn kỹ thuật số 44 (UN Regulation No.44 - UN R44) và Tiêu chuẩn kỹ thuật số 129 (UN Regulation No.129 - UN R129) do Ủy ban Kinh tế Liên hợp quốc về châu Âu (UNECE) ban hành cho hệ thống thiết bị an toàn của trẻ em trên xe ô tô. Hai tiêu chuẩn này được trình bày và so sánh với nhau để làm rõ tính ứng dụng thực tế vào Việt Nam. Bên cạnh đó, tình hình áp dụng hai tiêu chuẩn này trên thế giới và cụ thể tại Malaysia được trình bày chi tiết. Hiện tại, Việt Nam nên áp dụng đồng thời cả hai tiêu chuẩn để khuyến khích người đi ô tô sử dụng ghế trẻ em theo khả năng tài chính và nhu cầu an toàn; đồng thời nên có định hướng dẫn chuyển hoàn toàn sang UN R129.

5 thông tư mới lĩnh vực đăng kiểm cùng có hiệu lực từ 1/1/2025

5 thông tư mới lĩnh vực đăng kiểm cùng có hiệu lực từ 1/1/2025

Theo Cục Đăng kiểm VN, 5 thông tư mới về lĩnh vực đăng kiểm cùng có hiệu lực từ 1/1/2025, nhằm đồng bộ hóa về thời gian với Luật Trật tự, ATGT đường bộ.

Đề xuất thiết lập tuyến vận tải thủy xuyên suốt 4 nước dọc sông Mê Kông

Đề xuất thiết lập tuyến vận tải thủy xuyên suốt 4 nước dọc sông Mê Kông

6 quốc gia dọc tuyến sông Lan Thương – Mê Kông đang hướng đến xây dựng, áp dụng các quy định chung về giao thông thủy trên tuyến sông này; tiến tới thiết lập mạng lưới vận tải thủy xuyên suốt 4 nước.